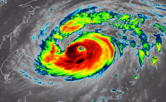
Bão Maysak tàn phá Nhật Bản, hàng trăm chuyến bay bị hủy
Ít nhất 8 người đã bị thương khi bão Maysak đổ bộ vào các đảo của tỉnh Okinawa của Nhật Bản với sức gió lên tới 196 km/h, mang theo mưa lớn.
03.09.2020 | 08:26 AM
Virus SARS-CoV-2 tàn phá lá phổi của con người như thế nào?
Một bệnh viện tại Washington D.C vừa công bố video 3D về phổi của bệnh nhân nhiễm virus SARS-CoV-2.
27.03.2020 | 15:09 PM

