Siêu bão Trami đe dọa Nhật Bản và Đài Loan
Siêu bão Trami được dự báo sẽ đổ bộ vào miền Bắc Đài Loan, Trung Quốc hoặc hướng về Okinawa, Nhật Bản.
27.09.2018 | 16:21 PM
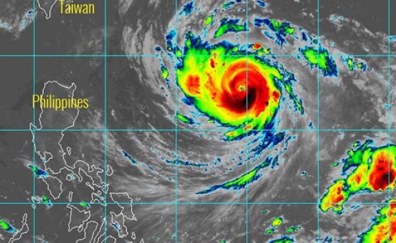
Lại xuất hiện siêu bão Trami gần Biển Đông
Hiện nay, trên khu vực Tây Bắc Thái Bình Dương đang có cơn bão Trami (tên bão do Việt Nam đề xuất) và được dự báo không đi vào khu vực Biển Đông.
24.09.2018 | 14:33 PM

