U19 Việt Nam hòa đáng tiếc Trung Quốc
Chiều 13-10, U19 Việt Nam đã có trận đấu tưng bừng trước Trung Quốc, ghi bàn mở tỉ số ở phút 19 nhưng sau đó đã bị gỡ hòa đáng tiếc ở phút 88.
11 năm trước 1,064 lượt xem
Kiểm tra việc lãnh đạo, chỉ đạo thực hiện Nghị quyết Trung ương 4 (khóa XI) tại Đảng ủy, Bộ Chỉ huy Bộ đội biên phòng tỉnh
Thực hiện Chương trình kiểm tra, giám sát năm 2014 của Ban Chấp hành Đảng bộ tỉnh khóa XVIII, ngày 22/10, Đoàn kiểm tra việc lãnh đạo, chỉ đạo thực hiện...
11 năm trước 1,435 lượt xem
Trao xe lăn, xe đạp cho trẻ em khuyết tật, trẻ em có hoàn cảnh khó khăn
Nhằm tiếp sức cho các em tới trường và tạo động lực cho các em vươn lên trong học tập, nhất là trẻ em khuyết tật có điều kiện phục hồi chức năng và...
11 năm trước 1,069 lượt xem
Hội Cựu chiến binh Thành phố Tổng kết 5 năm phong trào thi đua “Cựu chiến binh gương mẫu”
Hướng tới kỷ niệm 25 năm ngày truyền thống Cựu chiến binh (CCB) Việt Nam (6/12/1989 – 6/12/2014), sáng ngày 11/11, Hội CCB thành phố Thái Bình đã tổ chức...
11 năm trước 3,696 lượt xem
Trường Quân sự tỉnh Hướng đến một trung tâm Giáo dục quốc phòng - an ninh trọng điểm của tỉnh
Tháng 11 này, hòa chung với niềm hân hoan của các thầy cô giáo cả nước, tập thể cán bộ, giáo viên Trường Quân sự tỉnh còn có thêm niềm vui kỷ niệm 40 năm...
11 năm trước 2,636 lượt xem
Vịnh Hạ Long, hang Sơn Đoòng vào top 10 điểm đến đẹp nhất hành tinh
Trang Globalgrasshopper vừa công bố danh sách 10 điểm du lịch đẹp nhất hành tinh năm 2015, trong đó Việt Nam góp mặt hai đại diện là Vịnh Hạ...
11 năm trước 1,003 lượt xem
Trung Quốc bắt hơn 110 người bán thịt lợn “bẩn”
Cảnh sát Trung Quốc đã bắt hơn 110 người bị nghi là bán thịt của những con lợn chết vì bị bệnh và thu giữ hơn 1.000 tấn thịt lợn “bẩn”.
11 năm trước 725 lượt xem
Vũ Thư Sẵn sàng cho sản xuất vụ xuân
Hiện nay, các địa phương ở Vũ Thư đang tập trung làm đất, chuẩn bị tốt nhất các điều kiện, sẵn sàng cho sản xuất vụ xuân năm 2015 theo đúng khung lịch...
11 năm trước 2,043 lượt xem
Gặp mặt các nhà báo nhân kỷ niệm 60 năm ngày Thầy thuốc Việt Nam
Sáng ngày 29/1, Ban Chỉ đạo Chăm sóc và Bảo vệ sức khỏe nhân dân tỉnh tổ chức gặp mặt các nhà báo thông tin về Chương trình “Ngày hội sức khỏe” kỷ niệm 60...
11 năm trước 861 lượt xem
Thăm, tặng quà, chúc tết người nghèo và gia đình chính sách
Nhân dịp chuẩn bị đón tết Nguyên đán Ất Mùi năm 2015, tại xã Văn Lang (Hưng Hà), Ban Thường vụ Tỉnh đoàn chỉ đạo đoàn thanh niên các trường đại học, cao...
11 năm trước 1,285 lượt xem
U23 Việt Nam 1-0 U23 Indonesia: Chiến thắng chưa thỏa mãn tất cả
Tối 9/3, trận đấu giao hữu được chờ đợi giữa đội tuyển U23 Việt Nam và U23 Indonesia đã diễn ra đầy gay cấn trên sân vận động Mỹ Đình,Hà Nội. Với...
11 năm trước 955 lượt xem
Kỳ thi THPT quốc gia năm 2015: Những điều quan trọng thí sinh cần biết
Từ ngày 1-30/4, các điểm đăng ký dự thi sẽ thu hồ sơ đăng ký dự thi gồm 2 phiếu đăng ký dự thi, 2 ảnh 4x6 và một phong bì thư ghi rõ họ tên địa chỉ...
11 năm trước 1,141 lượt xem
Nâng cao hiệu quả công tác hội nhập kinh tế quốc tế góp phần thúc đẩy phát triển kinh tế - xã hội
Chiều ngày 30/3, Ban Hội nhập kinh tế quốc tế tỉnh tổ chức họp tổng kết hoạt động năm 2014, triển khai nhiệm vụ năm 2015. Ðồng chí Nguyễn Hoàng Giang,...
11 năm trước 2,262 lượt xem
Công an xã Nguyên Xá Nỗ lực bảo đảm trật tự an toàn giao thông
Xác định công tác bảo đảm trật tự an toàn giao thông là một trong những nhiệm vụ trọng tâm, Công an xã Nguyên Xá (Ðông Hưng) đã triển khai thực hiện...
11 năm trước 1,552 lượt xem
Thành phố Thái Bình Tổ chức tặng và truy tặng Danh hiệu vinh dự Nhà nước “Bà mẹ Việt Nam anh hùng”
Sáng ngày 21/4, đồng chí Đỗ Đình An, Ủy viên Ban Thường vụ Tỉnh ủy, Bí thư Thành ủy, Chủ tịch HĐND thành phố Thái Bình cùng các đồng chí lãnh đạo UBND...
11 năm trước 1,058 lượt xem
Từ ngày 7/5, vàng trang sức xuất khẩu chịu thuế suất 2%
Theo nội dung Thông tư số 36/2015/TT-BTC của Bộ Tài chính có hiệu lực từ ngày 7/5 tới đây, các mặt hàng vàng trang sức, kỹ nghệ và các sản phẩm bằng vàng...
11 năm trước 1,034 lượt xem
Hội nghị báo cáo viên các tỉnh, thành phố phía Bắc
Ngày 12/5, tại Hà Nội, Ban Tuyên giáo Trung ương đã tổ chức Hội nghị báo cáo viên các tỉnh, thành phố phía Bắc, các Đảng ủy trực thuộc Trung ương tháng...
11 năm trước 726 lượt xem
Hội nghị Ban Thường vụ Tỉnh ủy
Ngày 20/5, Ban Thường vụ Tỉnh ủy tổ chức hội nghị nghe và cho ý kiến về: chủ trương bố trí nội thất công trình Ðền thờ liệt sĩ tỉnh; cơ chế hỗ trợ di dời...
11 năm trước 2,411 lượt xem
Ecuador tịch thu 200.000 vây cá mập buôn lậu sang châu Á
Cảnh sát thành phố cảng Manta của Ecuador vừa thông báo tịch thu được khoảng 200.000 vây cá mập dự định được xuất khẩu trái phép sang châu Á.
11 năm trước 866 lượt xem
Kinh nghiệm xây dựng nông thôn mới ở Vũ Phúc
Vũ Phúc là xã thuần nông của thành phố Thái Bình, có tổng diện tích đất tự nhiên 621,78ha, trong đó diện tích đất canh tác 402,34ha. Năm 2009, được...
11 năm trước 2,186 lượt xem
Thạch chanh leo cốt dừa càng ăn càng ngon
Món thạch chanh leo cốt dừa có vị chua vừa phải, vị ngọt béo của cốt dừa quyện với vị chua thanh của chanh leo giúp nó trở nên hài hoà và cân bằng về vị...
11 năm trước 1,096 lượt xem
Đàm phán hạt nhân Iran phải kéo dài
Vòng đàm phán mới giữa Iran và nhóm P5+1 về chương trình hạt nhân của Iran có thể phải kéo dài qua thời hạn chót 30/6.
11 năm trước 776 lượt xem
Đảng ủy Khối các cơ quan tỉnh Triển khai công tác tuyên truyền Đại hội đại biểu Đảng bộ Khối lần thứ V
Chiều ngày 9/7, Đảng ủy Khối các cơ quan tỉnh tổ chức gặp mặt các cơ quan báo chí triển khai công tác tuyên truyền Đại hội đại biểu Đảng bộ Khối các cơ...
11 năm trước 726 lượt xem
Đoàn đại biểu Quốc hội tỉnh thăm, tặng quà đối tượng chính sách
Kỷ niệm 68 năm ngày Thương binh Liệt sĩ (27/7/1947 - 27/7/2015), ngày 20/7, Đoàn đại biểu Quốc hội tỉnh do đồng chí Phạm Xuân Thường, Trưởng đoàn đại biểu...
11 năm trước 837 lượt xem
An Lễ chuyển trọng tâm sang chăm sóc, phòng trừ sâu bệnh cho lúa mùa
Đến thời điểm này, xã An Lễ (Quỳnh Phụ) đã gieo cấy xong 100% diện tích lúa mùa theo đúng khung thời vụ. HTX DVNN chuyển trọng tâm sang tuyên truyền,...
11 năm trước 1,548 lượt xem
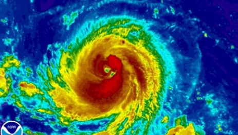
Bão Goni rất mạnh đang tiến gần về phía Philippines
Theo Trung tâm dự báo Khí tượng Thủy văn TƯ, hiện nay, một cơn bão rất mạnh đang hoạt động trên vùng biển ngoài khơi phía Đông Philippines và có tên quốc...
11 năm trước 745 lượt xem
Tiền Hải tổ chức hoạt động hỗ trợ người nghèo
Hội Chữ thập đỏ tỉnh vừa phối hợp cùng UBND huyện Tiền Hải tổ chức trao tặng bò sinh sản cho 7 hộ nghèo trên địa bàn huyện.
11 năm trước 1,078 lượt xem
Biểu dương, khen thưởng 73 tập thể, cá nhân có thành tích nộp thuế
Sáng ngày 8/9, Cục Thuế tỉnh tổ chức hội nghị tuyên dương các tổ chức, cá nhân có thành tích nộp thuế năm 2014. Đồng chí Phạm Văn Xuyên, Tỉnh ủy viên, Phó...
11 năm trước 1,034 lượt xem
Thanh Hóa đến Quảng Bình mưa giảm về lượng, lũ trên các sông vẫn tiếp tục lên
Theo Trung tâm Dự báo Khí tượng Thủy văn Trung ương, mưa ở Trung bộ còn tiếp diễn trong vài ngày tới, trọng tâm mưa từ Thanh Hóa đến Quảng Bình, mưa...
11 năm trước 782 lượt xem




























