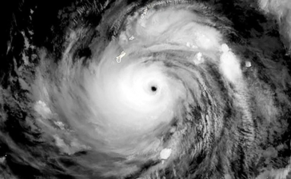
Siêu bão Mawar mạnh kỷ lục, giật trên cấp 17 có ảnh hưởng đến Việt Nam?
Theo Trung tâm Dự báo Khí tượng Thủy văn Quốc gia, cơ quan này đang tiếp tục theo dõi chặt chẽ siêu bão Mawar ngoài khơi Philippines.
3 năm trước 2,659 lượt xem
Siêu bão mạnh nhất từ đầu năm đến nay lao về Philippines, đe dọa Trung Quốc
Cơn bão Mawar đã tăng cường sức mạnh lên mức siêu bão, ngang cấp độ 5 của bão ở Đại Tây Dương trong khi di chuyển về phía Philippines.
3 năm trước 1,673 lượt xem
Khẩn trương ứng phó hạn hán, xâm nhập mặn
Theo nhận định của Trung tâm Dự báo Khí tượng Thủy văn Quốc gia, El Nino có khả năng sẽ xuất hiện vào cuối tháng 5, đầu tháng 6/2023 với xác suất khoảng 70-80% và có thể kéo dài sang đầu năm sau. El Nino...
3 năm trước 3,130 lượt xem
Hiệp đồng nhiệm vụ phòng, chống thiên tai và tìm kiếm cứu nạn
Sáng ngày 24/5, Bộ CHQS tỉnh tổ chức hội nghị hiệp đồng nhiệm vụ ứng phó thảm họa, sự cố, thiên tai và tìm kiếm cứu nạn, phòng chống cháy nổ, cứu sập năm 2023.
3 năm trước 12,785 lượt xem
Tin dự báo mưa dông và mưa lớn cục bộ, lốc, sét, gió giật mạnh tại Thái Bình
Ngày hôm nay (24/5), một số nơi trên địa bàn tỉnh đã có mưa và dông.
3 năm trước
23,437 lượt xem
Tin cảnh báo mưa dông, lốc, sét và gió giật mạnh tại Thái Bình
Ngày hôm nay (23/5), một số nơi trên địa bàn tỉnh đã có mưa và dông.
3 năm trước
3,111 lượt xem
Hưng Hà: Chủ động các phương án ứng phó trước mùa mưa bão
Bước vào mùa mưa bão năm 2023, huyện Hưng Hà đã triển khai nhiều giải pháp và đẩy mạnh thực hiện phương châm “4 tại chỗ” nhằm chủ động phòng ngừa, ứng...
3 năm trước
2,272 lượt xem
Thành phố: Chủ động trước mùa mưa bão
Theo dự báo, năm 2023 thời tiết, khí hậu tiếp tục diễn biến bất thường, các hiện tượng thời tiết cực đoan có xu hướng gia tăng cả về tần suất và cường độ....
3 năm trước
2,302 lượt xem
Chủ động ứng phó với nắng nóng
Văn phòng thường trực Ban Chỉ đạo Quốc gia về Phòng chống thiên tai đề nghị các địa phương theo dõi chặt chẽ thông tin dự báo, cảnh báo thiên tai để chủ...
3 năm trước
1,712 lượt xem
Ngày truyền thống phòng, chống thiên tai (22/5): Ứng phó linh hoạt với thiên tai
Biến đổi khí hậu đang diễn biến ngày càng phức tạp. Từ đầu năm 2023 đến nay, thiên tai đã làm 7 người mất tích, thiệt hại kinh tế gần 25 tỷ đồng.
3 năm trước
2,141 lượt xem
Đẩy nhanh tiến độ thi công công trình phòng, chống thiên tai
Bước vào mùa mưa bão năm 2023, song song với việc đẩy nhanh tiến độ thực hiện các dự án, công trình trọng điểm phục vụ phòng, chống lụt bão, tỉnh Thái...
3 năm trước
2,720 lượt xem
Đẩy nhanh tiến độ thi công công trình phòng, chống thiên tai
Bước vào mùa mưa bão năm 2023, song song với việc đẩy nhanh tiến độ thực hiện các dự án, công trình trọng điểm phục vụ phòng, chống lụt bão, tỉnh Thái...
3 năm trước
1,815 lượt xem
Mít tinh hưởng ứng Tuần lễ Quốc gia về Phòng, chống thiên tai năm 2023
Chủ đề của Tuần lễ Quốc gia năm nay - “Từ ứng phó đến hành động sớm” thể hiện vai trò dẫn dắt, trách nhiệm của Việt Nam trong việc thúc đẩy hợp tác ASEAN...
3 năm trước
2,266 lượt xem
Thái Thụy: Triển khai kế hoạch diễn tập phòng, chống thiên tai và tìm kiếm cứu nạn năm 2023
Chiều ngày 18/5, huyện Thái Thụy tổ chức hội nghị triển khai kế hoạch, nhiệm vụ diễn tập phòng, chống thiên tai và tìm kiếm cứu nạn năm 2023.
3 năm trước
10,898 lượt xem
