Bão mùa đông và giá lạnh kỷ lục đổ bộ vào Mỹ
Bão mùa đông và giá lạnh kỷ lục dự kiến sẽ tràn vào miền Trung và miền Nam nước Mỹ trong tuần này, làm tắc nghẽn giao thông và gây căng thẳng cho lưới điện ở bang Texas.
1 năm trước 7,709 lượt xem
Tòa án Hàn Quốc bác đề nghị của ông Yoon, tiến hành phiên điều trần đúng lịch
1 năm trước 7,460 lượt xem
Máy bay Delta Air Lines chở gần 80 khách bị lật ngửa và bốc cháy
Một vụ tai nạn nghiêm trọng đã xảy ra tại Sân bay quốc tế Toronto Pearson (Canada) vào chiều ngày 17/2 (giờ địa phương).
1 năm trước
7,673 lượt xem
Thái Lan phấn đấu đứng đầu châu Á về thực hiện các mục tiêu phát triển bền vững
Thủ tướng Thái Lan Paetongtarn Shinawatra mới đây khẳng định, Thái Lan đặt mục tiêu đứng đầu châu Á trong việc thực hiện các Mục tiêu phát triển bền vững (SDGs) sau khi nước này đứng đầu ASEAN 6 năm liền...
1 năm trước
7,277 lượt xem
Số người chết vì lũ lụt ở bang Kentucky, Mỹ gia tăng
Thống đốc bang Kentucky, ông Andy Beshear, cho biết tại một cuộc họp báo ngày 17/2 rằng, số người chết vì lũ lụt do thời tiết khắc nghiệt tại bang miền Trung Tây nước Mỹ này vào cuối tuần qua đã tăng lên...
1 năm trước
6,858 lượt xem
Phát huy thế mạnh, cùng nhau phát triển
Hội nghị Ấn Độ Dương lần thứ 8 về chủ đề “Hành trình đến chân trời mới của quan hệ đối tác hàng hải” đã khai mạc tại thủ đô Muscat của Oman. Là tuyến huyết mạch toàn cầu quan trọng, Ấn Độ Dương hướng tới...
1 năm trước
6,388 lượt xem
Thái Lan ghi nhận gần 100.000 ca mắc cúm
Thái Lan đã ghi nhận tới hơn 99.000 ca mắc cúm kể từ đầu năm 2025 đến nay, trong đó có 9 trường hợp tử vong.
1 năm trước
6,823 lượt xem
Ít nhất 9 người chết do mưa lớn và bão tuyết ở Mỹ
Ít nhất 9 người, bao gồm một trẻ em, thiệt mạng sau khi một trận mưa lớn gây lũ quét đổ bộ vào Kentucky, Mỹ, khiến hàng trăm nghìn người dân mất điện.
1 năm trước
7,011 lượt xem
Nổ nhà máy pháo hoa ở Ấn Độ, ít nhất 2 người thiệt mạng, 3 người bị thương
Ngày 16/2, Cảnh sát Ấn Độ cho biết, ít nhất 2 người đã thiệt mạng và 3 người khác bị thương trong một vụ nổ bên trong một nhà máy sản xuất pháo hoa ở bang Maharashtra, miền tây Ấn Độ.
1 năm trước
6,436 lượt xem
Tai nạn giao thông liên hoàn trên cao tốc ở Mỹ
Giới chức thành phố Portland thuộc bang Oregon, Mỹ mới đây đã đưa thông tin về vụ tai nạn liên hoàn xảy ra trên đường cao tốc trong điều kiện thời tiết bão tuyết.
1 năm trước
8,220 lượt xem
Số ca mắc bệnh đậu mùa khỉ ở Kenya tăng lên 41 người
Một quan chức chính phủ Kenya ngày 14/2 xác nhận 41 trường hợp mắc bệnh đậu mùa khỉ, trong đó có 1 trường hợp tử vong được báo cáo kể từ khi dịch bệnh bắt đầu vào tháng 7/2024.
1 năm trước
6,950 lượt xem
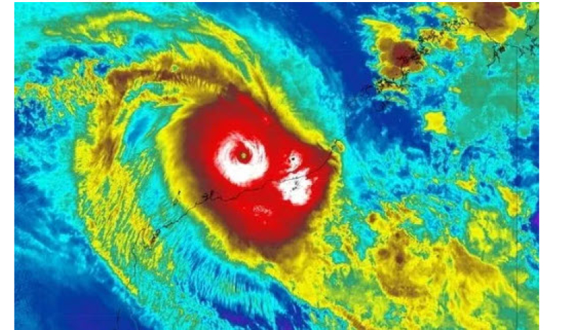
Siêu bão Zelia tiến sát, Australia ban bố cảnh báo khẩn cấp
Bão cấp 5 Zelia với sức gió 320 km/h đang tiến vào Tây Australia, gây lo ngại về thiệt hại nghiêm trọng và buộc chính quyền phải ban bố cảnh báo khẩn cấp.
1 năm trước
8,623 lượt xem
Hàn Quốc: Cháy lớn tại công trường xây dựng, 8 công nhân nguy kịch
8 công nhân đã bị ngưng tim và phải nhập viện cấp cứu trong vụ hỏa hoạn nghiêm trọng xảy ra tại công trường xây dựng khách sạn Banyan Tree ở thành phố cảng Busan.
1 năm trước
7,709 lượt xem
Khai mạc Hội nghị An ninh Munich
Hội nghị An ninh Munich khai mạc ngày 14/2 tại Đức, quy tụ lãnh đạo cấp cao từ khắp nơi trên thế giới để thảo luận về các vấn đề an ninh quốc tế.
1 năm trước
7,655 lượt xem
Syria sẽ có chính phủ mới trong tháng 3
Syria sẽ có chính phủ mới kể từ ngày 1/3 - Bộ trưởng Ngoại giao lâm thời của nước này tuyên bố vào ngày 12/2.
1 năm trước
7,702 lượt xem
ASEAN hợp tác giải quyết vấn đề khói mù xuyên biên giới
Thái Lan đã ký một thỏa thuận với tất cả các nước thành viên ASEAN để cùng nhau giải quyết vấn đề bụi mịn PM2.5 vốn được coi là vấn đề khói mù xuyên biên giới.
1 năm trước
6,704 lượt xem
Dịch cúm ở đỉnh điểm, chuyên gia Trung Quốc khuyến cáo các biện pháp phòng chống
Dữ liệu từ Trung tâm Kiểm soát và phòng ngừa dịch bệnh Trung Quốc (CDC) cho thấy bệnh cúm hiện đang ở đỉnh điểm.
1 năm trước
7,247 lượt xem
Nổ tại trung tâm thương mại ở Đài Loan, nhiều người thương vong
Theo lực lượng cứu hỏa Đài Loan, vụ nổ xảy ra tại khu ẩm thực ở tầng 12 trung tâm thương mại Shin Kong Mitsukoshi, khiến 1 người thiệt mạng và 10 người khác phải nhập viện.
1 năm trước
7,416 lượt xem
Hợp tác và kết nối vì sự thịnh vượng chung
Trong khuôn khổ Hội nghị thượng đỉnh Chính phủ Thế giới (WGS) 2025 diễn ra tại thành phố Dubai, Các Tiểu vương quốc Arab thống nhất (UAE), sáng 12/2, Phó Thủ tướng, Bộ trưởng Ngoại giao Bùi Thanh Sơn đã...
1 năm trước
7,486 lượt xem
Động đất rung chuyển tại Hy Lạp, hơn 11.000 người phải sơ tán
Một trận động đất mạnh 5,3 độ đã làm rung chuyển đảo Santorini của Hy Lạp, buộc hơn 11.000 người phải sơ tán và khiến chính quyền ban bố tình trạng khẩn cấp.
1 năm trước
7,422 lượt xem
Việt Nam dự Hội nghị Thứ trưởng Quốc phòng ASEAN-Nhật Bản lần thứ 14
Tham dự Hội nghị, Thứ trưởng Bộ Quốc phòng Hoàng Xuân Chiến đánh giá cao những đóng góp tích cực của các nước, đặc biệt là Nhật Bản trong nỗ lực thúc đẩy quan hệ hợp tác quốc phòng với ASEAN.
1 năm trước
7,723 lượt xem
61 quốc gia thông qua tuyên bố chung về nhu cầu trí tuệ nhân tạo
Tuyên bố chung nhấn mạnh các vấn đề liên quan đến AI và năng lượng đã “lần đầu tiên” được giải quyết trong bối cảnh đa phương.
1 năm trước
7,223 lượt xem
Khai mạc Hội nghị thượng đỉnh Chính phủ thế giới 2025 tại Dubai
Ngày 11/2 (giờ địa phương), tại thành phố Dubai của Các Tiểu vương quốc Arab thống nhất (UAE) đã khai mạc Hội nghị thượng đỉnh Chính phủ thế giới 2025 (WGS-2025).
1 năm trước
7,586 lượt xem
Trung Quốc tiếp tục nỗ lực cứu hộ sau lở đất ở Tứ Xuyên
Đội cứu hộ ở tỉnh Tứ Xuyên, Trung Quốc vẫn đang làm việc suốt ngày đêm để tìm kiếm những người sống sót sau trận lở đất xảy ra vào sáng 8/2.
1 năm trước
7,840 lượt xem
Lào hướng tới mục tiêu thúc đẩy du lịch bền vững và bảo tồn văn hóa
Ngày 10/2, Chính phủ Lào đã kêu gọi nỗ lực hơn nữa để thúc đẩy du lịch phát triển bền vững và bảo tồn văn hóa, đồng thời nhấn mạnh việc này sẽ góp phần quan trọng vào tăng trưởng kinh tế-xã hội của đất...
1 năm trước
6,314 lượt xem
Tổng thống Romania Iohannis tuyên bố từ chức
Ngày 10/2, Tổng thống Romania, ông Klaus Iohannis đã thông báo từ chức trong bối cảnh các đảng đối lập trong Quốc hội tìm cách đình chỉ nhiệm vụ của ông.
1 năm trước
5,867 lượt xem
Ô nhiễm không khí gây hơn 1.100 ca ung thư phổi mỗi năm tại Anh
Ô nhiễm không khí được xác định là nguyên nhân gây ra hơn 1.100 ca ung thư tuyến phổi mỗi năm tại Anh, làm dấy lên lời kêu gọi hành động từ các chuyên gia y tế.
1 năm trước
5,588 lượt xem




























